Een reis met een valse start

Laatste update op 28 oktober 2018 door Sander

Soms loopt alles net even wat anders dan je vooraf verwacht. De voorbereidingen zaten er wel zo’n beetje op: alle hotels waren geboekt, vliegtickets waren al veel langer geboekt en inmiddels kreeg ik er behoorlijk zin in. In de laatste volledige werkweek nog even de nodige uurtjes maken op het werk zodat ik met een gerust hart kon vertrekken. Op vrijdag begin ik een paar keer achter elkaar te niesen en voel ik mijn keel. Een collega grapt nog “je moet natuurlijk nu niet ziek worden”. Zal wel wat mee vallen, denk ik. Op zaterdag vier ik een prachtig feest, waarbij ik “iets” te diep in het glaasje kijk. Zondag voel ik me “niet lekker”.

Bijna dreigt mijn vakantie totaal in de soep te lopen, want op maandag ben ik echt ziek. Bovendien dreigt een tyfoon mijn vlucht van New York naar Hong Kong te verstoren. Lekker begin. Hier lees je over de stressvolle start van mijn reis.

Air France KLM Flying Blue: onbereikbaar!

Op maandag voel ik me dusdanig slecht dat zelfs thuiswerken er eigenlijk niet meer van komt. Het grootste deel van de dag lig ik te slapen. Ik kan me er dan ook helemaal niets meer bij voorstellen om woensdag “te moeten” vliegen. Dat is onbegrijpelijk, want ik keek er al een tijdje naar uit om in Delta’s nieuwe A350 te mogen zitten!

Uiteindelijk besluit ik maar eens te kijken of er nog een andere vlucht beschikbaar is, een beetje later deze week. Uiteindelijk vind ik een rechtstreekse vlucht van Amsterdam naar New York. Qua “beleving” moet ik er dan een stukje op inleveren (KLM vliegt met een wat oudere business class in haar 747’s), maar dat neem ik op de koop toe.

valse start

Een extra KLM huisje is leuk, maar Delta heeft mijn voorkeur!

Vanaf het begin van de middag bel ik met Flying Blue. Ik sta steeds een half uur – vergezeld door een hopeloos irritant muziekje – in de wacht, waarna simpelweg de verbinding verbroken wordt. Zeker als je ziek bent is dit ronduit ongemakkelijk. Ik vraag me dan ook af of er wel iemand werkt bij de helpdesk van KLM, want na een aantal pogingen geef ik hetmaar op. KLM is waardeloos bereikbaar…….

Tyfoon Mangkhut is op komst……

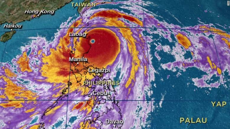
Terwijl ik op maandag een aantal keren zit te wachten op de onbereikbare KLM, kijk ik af en toe op Expertflyer. Dit is een soort zenuwtrekje van me in de aanloop naar een vliegreis. Om even te zien hoe druk het zal worden op een bepaalde vlucht. Voor mijn vlucht met Cathay Pacific eigenlijk totaal onbelangrijk (wat kan mij het nu schelen of het druk is of niet in First Class?). Toch kom ik er op deze manier achter dat er iets aan de hand is. Ik zie namelijk dat er helemaal geen stoelen meer verkocht worden. Sterker nog, op geen van alle vluchten op zondag worden er nog tickets verkocht. Vreemd.

Ik besluit daarom naar de website van Cathay Pacific te gaan en daar zie ik gelijk wat er aan de hand is. Er is een tyfoon op komst! Op dat moment heeft de media daar nog geen enkele aandacht aan gegeven. Cathay Pacific staat er echter om bekend het weer in Hong Kong uitstekend te kunnen inschatten. Op Windy zie ik dat het om een nogal serieuze tyfoon gaat, waar je onmogelijk in kunt stijgen op landen. Nee hé, dit kan er ook nog wel bij 🙁 . Vergeet daarbij niet dat ik speciaal naar de Verenigde Staten vlieg om de vlucht met Cathay Pacific van New York naar Hong Kong te kunnen doen.

valse start

Ohoh….

Op woensdag besluit ik om met Alaska Airlines te bellen. Dit lukt aanvankelijk niet omdat ik dan al in de VS ben, maar via de hulp van Marco lukt dit alsnog. Want bij Alaska nemen ze de telefoon gelukkig wél op. Besef daarbij dat er op dat moment in de VS ook een tyfoon bezig is, die voor veel extra telefoontjes zorgt.  Helaas blijkt het omboeken van mijn ticket niet meer mogelijk: iets later zou wel lukken, maar dan loopt de rest van mijn reisschema in de soep. Helaas: ik moet afwachten.

Laat het maar op zijn beloop

De vakantie begint lekker: ik ben ziek, KLM is waardeloos bereikbaar en een tyfoon komt richting Hong Kong. Je kunt alles dus tot in de puntjes regelen maar het loopt zoals het loopt.

Uiteindelijk zit er niets anders op dan woensdag toch gewoon te vliegen. En het was een geweldige vlucht, waarvan je binnenkort een verslag kunt lezen op bijzonderetickets.nl.

Valse start

Delta One in de A350

Dan de tyfoon: deze heeft verschrikkelijke schade aangericht en mensen van het leven beroofd, wat natuurlijk een tragische gebeurtenis is. Maar op maandag was de rust wedergekeerd en dus kon “mijn” vliegtuig veilig landen op Hong Kong. En omdat de vlucht van zaterdag was geannuleerd, stond het toestel al een dag te wachten op New York John F. Kennedy Airport.

Conclusie: een valse start, gelukkig met een goed einde.

Aan het eind van de rit is alles dus toch nog goed gekomen. Aan het feit dat KLM onbereikbaar was heb ik wel een bijzonder bittere nasmaak overgehouden. Vooral omdat Alaska eigenlijk veel meer reden had om slecht bereikbaar te zijn: daar was een tyfoon bezig. In Nederland was het prima weer en geen grote verstoringen. Nee Flying Blue, zo ga je niet met tickethouders van een loyaliteitsprogramma om….

 

Delen en volgen

Laat een reactie achter

Je e-mailadres wordt niet gepubliceerd. Vereiste velden zijn gemarkeerd met *